Trailandstreet hat Recht: Es ist der
Cocastrauch!
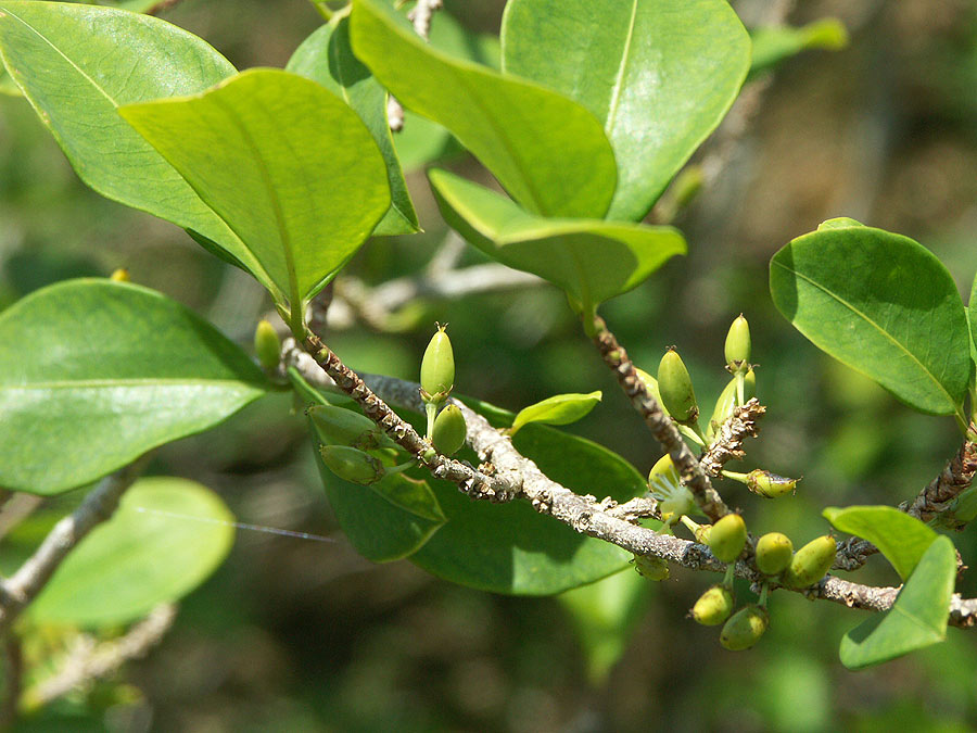
Die Blätter enthalten Alkaloide, insbesondere Kokain, die beim Genuss eine anregende und schmerzlindernde Wirkung entfalten. Einheimische kauen die Blätter, und allenthalben wird man mit Tee daraus traktiert. Er hilft tatsächlich, wenn man etwa in großer Höhe (z.B. in der Stadt Cuzco, wo wir mehrere Tage auf über 3400 m zubrachten) infolge des Sauerstoffmangels unter Kopfschmerzen leidet.
Bei richtigem Gebrauch entsteht keine Sucht, anders als beim Genuss des reinen Kokains.
Es gibt Teebeutel für den „Mate de Coca“ ganz offiziell zu kaufen, nur sollte man sie nicht nach D mitnehmen, wo ihre Einfuhr und der Besitz nach dem Betäubungsmittelgesetz strafbar sind. In Coca Cola ist das Alkaloid nicht mehr enthalten.
Bei Wikipedia
http://de.wikipedia.org/wiki/Cocastrauch gibt's ganz viel darüber zu lesen, auch eine lustige Geschichte, wie man durch die Bekämpfung des Anbaus mit Herbiziden eine Sorte heraus selektioniert hat, die gegen ein bestimmtes Herbizid resistent ist. Inzwischen ist der Anbau ganz legal.
MfG,
Merkur
PS:
viewtopic.php?f=31&t=408&p=6159#p6156 @ Xeras: Ich trau' mich's kaum zu schreiben, aber 11:43 pm = 23:43!
"pm" heißt post meridiem, nach Mittag, eine bei Amerikanern sehr beliebte Schreibweise. Entsprechend "am" = ante meridiem, vormittags.
